Siêu bão mạnh cấp 17 trên Thái Bình Dương hướng về Bắc Biển Đông

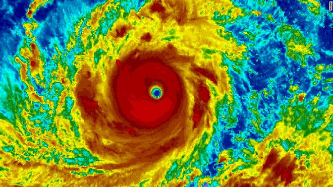
Chiều 12/9, siêu bão Mangkhut trên vùng biển Tây Bắc Thái Bình Dương duy trì sức gió mạnh nhất vùng gần tâm bão mạnh cấp 17 (200-220 km/giờ) và sẽ di chuyển hướng về khu vực Bắc Biển Đông.
Siêu bão mạnh cấp 17 trên Thái Bình Dương hướng về Bắc Biển Đông ảnh 1Siêu bão Mangkhut. (Nguồn: CNN)

Theo Trung tâm Dự báo Khí tượng Thủy văn Quốc gia, lúc 16 giờ ngày 12/9, vị trí tâm bão số 5 ở vào khoảng 20,9 độ Vĩ Bắc; 113,9 độ Kinh Đông, cách bán đảo Lôi Châu (Trung Quốc) khoảng 350km về phía Đông.

Sức gió mạnh nhất vùng gần tâm bão mạnh cấp 8 (60-75 km/giờ), giật cấp 10. Phạm vi gió mạnh cấp 6, giật cấp 8 trở lên khoảng 80km tính từ tâm bão.

Dự báo đến 16 giờ ngày 13/9, bão số 5 di chuyển theo hướng Tây Tây Bắc, mỗi giờ đi được khoảng 15-20km và suy yếu dần thành áp thấp nhiệt đới.

Trong khi đó, chiều 12/9, siêu bão Mangkhut trên vùng biển Tây Bắc Thái Bình Dương duy trì sức gió mạnh nhất vùng gần tâm bão mạnh cấp 17 (200-220 km/giờ) và sẽ di chuyển hướng về khu vực Bắc Biển Đông trong khoảng 3 ngày tới.

Trong khoảng từ 20 giờ 30 phút đến 23 giờ 30 phút ngày 12/9, nguy cơ xảy ra lũ quét, sạt lở đất và ngập úng cục bộ vùng trũng thấp khu vực Tây Nguyên đặc biệt là huyện Tu Mơ Rông (Kon Tum), Đắk G’Long, Tuy Đức (Đắk Nông), Kbang (Gia Lai). Cấp độ rủi ro thiên tai cấp 1.

Từ đêm 13/9 đến ngày 14/9 ở phía Đông Bắc Bộ có mưa, mưa vừa; riêng khu vực Đông Bắc có mưa vừa, mưa to. Tổng lượng mưa cả đợt phổ biến từ 50-100 mm/đợt. Cấp độ rủi ro thiên tai cấp 3.

[Quảng Ninh thông tin cho dân, khách du lịch về diễn biến bão số 5]

Dự báo chi tiết cho các vùng đêm 12 và ngày 13/9, phía Tây Bắc Bộ có mưa rào và dông vài nơi. Gió nhẹ. Độ ẩm từ 55-97%. Nhiệt độ thấp nhất từ 22-25 độ C; cao nhất từ 31-34 độ C.

Phía Đông Bắc Bộ, có mưa rào và dông vài nơi. Gió nhẹ. Độ ẩm từ 58-97%. Nhiệt độ thấp nhất từ 24-27 độ C, cao nhất từ 31-34 độ C.

Thủ đô Hà Nội, đêm có mưa rào vài nơi, ngày nắng. Gió nhẹ. Độ ẩm từ 58-94%. Nhiệt độ thấp nhất từ 24-27 độ C; cao nhất từ 31-34 độ C.

Các tỉnh từ Thanh Hóa - Thừa Thiên Huế, chiều tối và đêm có mưa rào, dông vài nơi, ngày nắng. Gió nhẹ. Độ ẩm từ 55-96%. Nhiệt độ thấp nhất từ 24-27 độ C; cao nhất từ 31-34 độ C.

Các tỉnh, thành phố từ Đà Nẵng-Bình Thuận, có mưa rào và dông vài nơi; riêng chiều tối 13/9 có mưa rào, dông rải rác. Gió Tây Nam cấp 2-3. Trong cơn dông có khả năng xảy ra lốc, sét và gió giật mạnh. Độ ẩm từ 60-97%. Nhiệt độ thấp nhất từ 24-27 độ C; cao nhất từ 31-34 độ C, có nơi trên 34 độ C.

Khu vực Tây Nguyên nhiều mây, đêm 12/9 và chiều tối 13/9 có mưa, có nơi mưa vừa, mưa to và rải rác có dông; ngày có mưa rào và dông vài nơi. Gió Tây Nam cấp 2-3. Trong cơn dông có khả năng xảy ra lốc, sét và gió giật mạnh. Độ ẩm 65-98%. Nhiệt độ thấp nhất từ 20-23 độ C; cao nhất từ 28-31 độ C.

Nam Bộ nhiều mây, có mưa rào và dông rải rác. Gió Tây Nam cấp 2-3. Độ ẩm 60-98%. Nhiệt độ thấp nhất từ 24-27 độ C; cao nhất từ 30-33 độ C./.

(TTXVN/Vietnam+)

Tin cùng chuyên mục

Miền Bắc chuẩn bị đón đợt rét đậm, rét hại

Miền Bắc chuẩn bị đón đợt rét đậm, rét hại

Từ ngày 21/1, do ảnh hưởng đợt không khí lạnh cường độ mạnh, tại đồng bằng, trời rét đậm với mức nhiệt từ 11 đến 13 độ; khu vực vùng núi, trung du có thể xuống dưới 8 độ C, ngưỡng rét hại.

Ảnh minh họa.

Động đất rung chuyển nhiều quốc gia Mỹ Latinh

Tại Mexico, trận động đất đầu tiên có độ lớn 5,6 xảy ra vào lúc 0h08 ngày 16/1 theo giờ địa phương, cách Chetumal-thủ phủ của bang Quintana Roo khoảng 317 km về phía Nam, với độ sâu chấn tiêu 10 km.

Ảnh khu vực hoạt động của bão Nokaen ở ngoài khơi Philippines. (Nguồn: Windy)

Bão Nokaen không có khả năng di chuyển vào Biển Đông

Dự báo trong 24 giờ tới, bão Nokaen di chuyển theo hướng Bắc Tây Bắc với tốc độ khoảng 15km/h và tiếp tục mạnh thêm; sau đó bão sẽ di chuyển chủ yếu hướng Bắc dọc theo khu vực vùng biển Philippines.

Một người đàn ông làm mát tại thiết bị phun nước ở Bucharest, Romania. (Nguồn: THX/TTXVN)

Năm 2025 - năm nóng thứ 3 trong lịch sử toàn cầu

Báo cáo của EU cho biết trong năm 2025, nhiệt độ trung bình toàn cầu đạt 14,97 độ C, thấp hơn 0,13 độ C so với năm 2024 vốn là năm nóng nhất trong lịch sử và chỉ thấp hơn 0,01 độ C so với năm 2023.